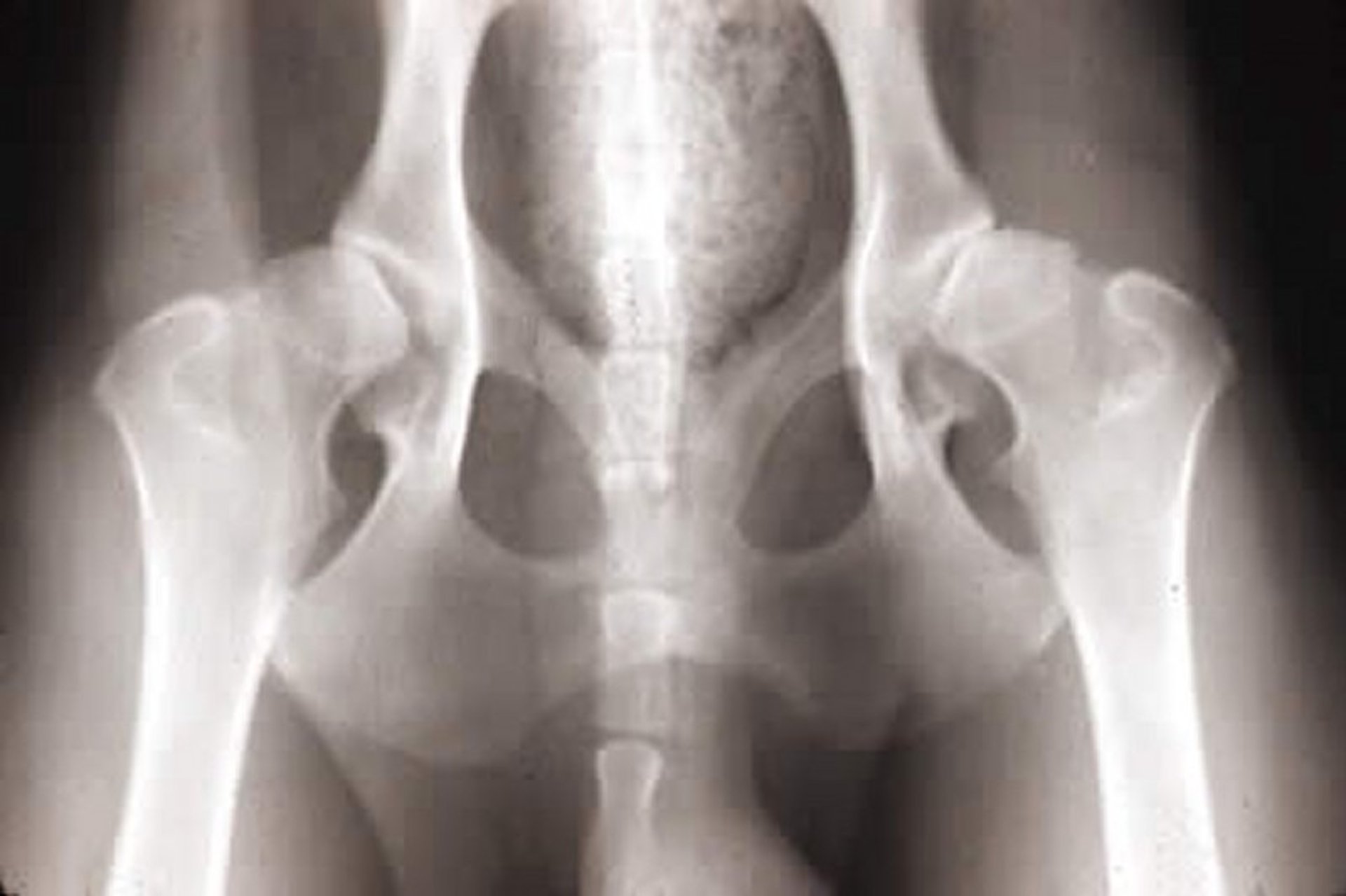
Hip dysplasia, radiograph, dog
Ventrodorsal radiographic view of the pelvis of a 2-year-old German Shepherd Dog with hip dysplasia. Note the subluxation of the hip joints, widening of both joint spaces, thickening of the femoral necks, osteophytosis, and femoral head deformation.
Courtesy of Dr. Ronald Green.
In these topics
