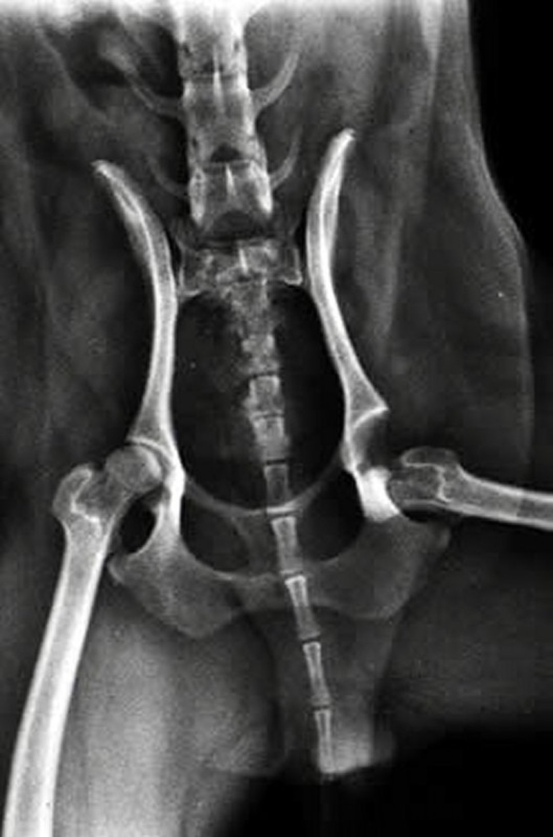
Hip luxation, radiograph, dog
Ventrodorsal radiographic view of a dog with hip luxation. Note the caudal luxation of the left femoral head relative to the acetabulum.
Courtesy of Dr. Ronald Green.
In these topics
Ventrodorsal radiographic view of a dog with hip luxation. Note the caudal luxation of the left femoral head relative to the acetabulum.
Courtesy of Dr. Ronald Green.