Hip dysplasia is a multifactorial abnormal development of the coxofemoral joint in dogs that is characterized by joint laxity and subsequent degenerative joint disease (DJD) and osteoarthritis (OA). It is most common in large-breed dogs; however, it can also affect small-breed dogs and cats. Excessive and rapid growth, exercise, nutrition, and hereditary factors affect the occurrence of hip dysplasia.
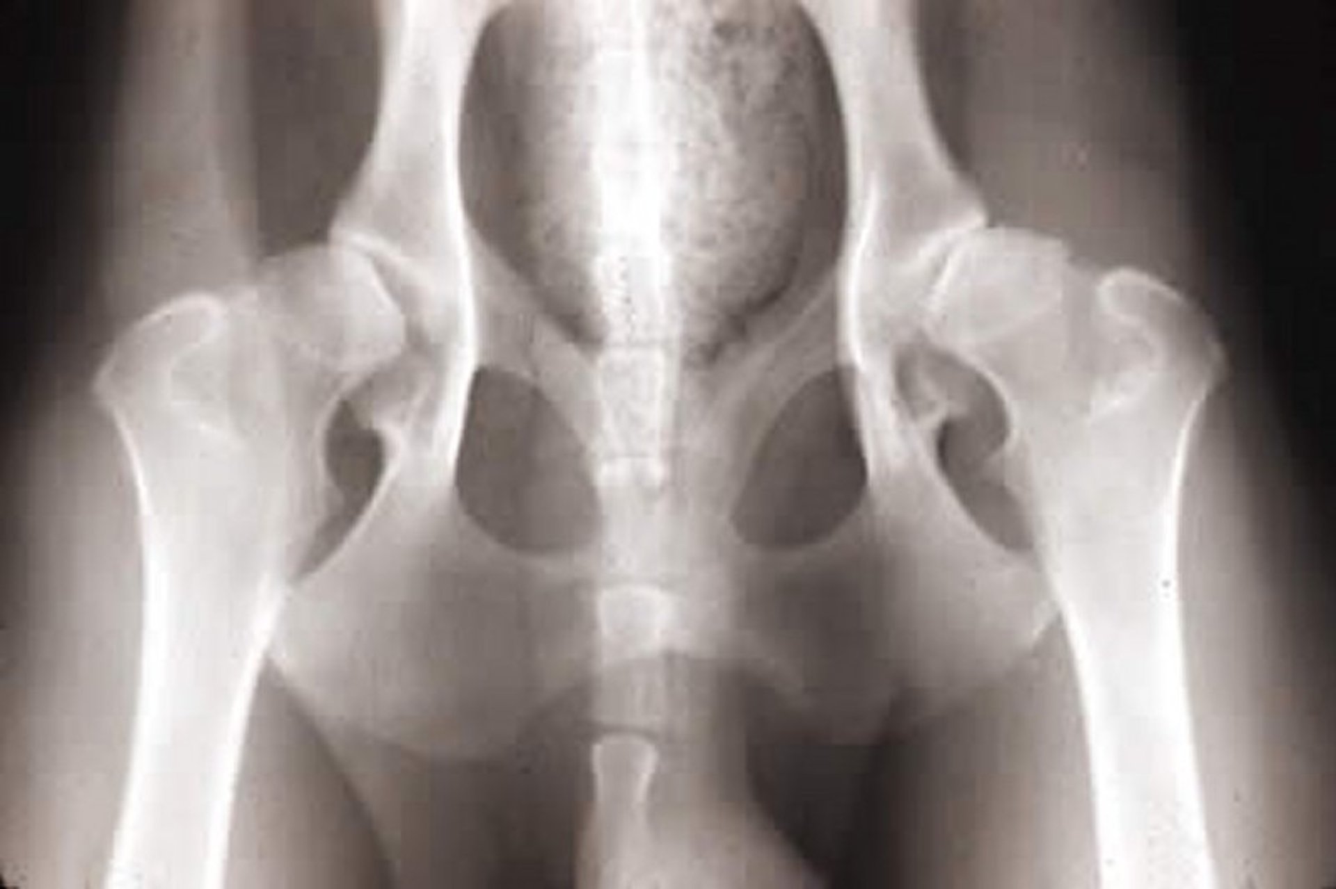
The pathophysiological basis of hip dysplasia is a disparity between hip joint muscle mass and rapid bone development. As a result of this disparity, coxofemoral joint laxity or instability develops and subsequently leads to degenerative joint changes such as acetabular bone sclerosis, osteophytosis, thickened femoral neck, joint capsule fibrosis, and subluxation or luxation of the femoral head (see ).
Courtesy of Dr. Ronald Green.
Clinical signs of hip dysplasia vary and do not always correlate with radiographic abnormalities. Lameness can be mild, moderate, or severe and is more pronounced after exercise or, once OA has developed, shortly after rest. A bunny-hopping gait is sometimes evident. Joint laxity (Ortolani sign), decreased range of motion, crepitus, and pain during full extension and flexion can be present.
Radiography is useful for delineating the extent of arthritis in hip dysplasia and for planning medical and surgical treatments. Standard ventrodorsal views of sedated or anesthetized animals can be graded by the Orthopedic Foundation for Animals. Sometimes, however, laxity or subluxation might not be visible, because the collagen fibers in the joint capsule tighten during limb extension.
Stress radiography can be performed and joint laxity measured, via the PennHIP method (1), to determine the risk of developing hip dysplasia and OA in the future.
Some surgeons use a dorsal acetabular rim view to evaluate the acetabulum before reconstructive surgery for hip dysplasia. Modified ventrodorsal and dorsoventral projections have also been proposed in an effort to mimic the normal standing posture of dogs. Reviews of radiographic screening programs in the US and elsewhere have failed to identify a gold standard. An evaluation shift toward genome screening might yield more promising results in the future.
Hip dysplasia can be treated both medically and surgically. Mild cases or nonsurgical candidates (because of health or owner constraints) benefit from weight decrease, activity modification and restriction of exercise on hard surfaces, controlled physical therapy (hydrotherapy, laser therapy, etc) to strengthen and maintain muscle tone and maintain joint range of motion, and NSAIDs.
Nutraceuticals containing omega-3 fatty acids have been reported as beneficial in dogs with OA. Other therapies, such as acupuncture, CBD (cannabidiol) oil, or regenerative medicine, can also be helpful in some patients.
Surgical treatments for hip dysplasia include the following procedures:
pectineal myotenectomy to decrease pain
triple or double pelvic osteotomy (TPO, DPO) to improve femoral head coverage
juvenile pubic symphysiodesis (JPS) to prevent subluxation
joint capsule denervation to decrease pain
dorsal acetabulum reinforcement to decrease subluxation
femoral head and neck excision (FHNE) to decrease pain
total hip replacement for optimal restoration of joint and limb functions
In addition, femoral corrective osteotomy can decrease femoral head subluxation; however, degenerative arthritis might persist.
The prognosis in cases of hip dysplasia is highly variable and depends on the overall health and environment of the affected animal. In general, if surgery is indicated and performed correctly, it is beneficial. Affected animals that do not undergo surgery might require long-term multimodal management of chronic pain secondary to OA, as well as lifestyle changes, to live comfortably.
Most dogs with hip dysplasia do not need surgery; however, surgical treatment benefits severely affected dogs and dogs that do not respond to conservative treatment. TPO, DPO, and JPS must be performed early in growing dogs, before degenerative changes develop.
Key Points
Hip dysplasia is a developmental disorder resulting in joint laxity and secondary osteoarthritis, most commonly in large-breed dogs.
Clinical signs vary from mild to severe lameness, often after exercise, and can include pain, decreased range of motion, and a bunny-hopping gait.
Diagnosis involves radiography, including stress radiography and special views to plan surgical intervention.
Management can be medical (weight control, NSAIDs, physical therapy, nutraceuticals) or surgical.
For More Information
Fingeroth J. Hip dysplasia in dogs: background, signs and diagnosis. Vet Partner. 2024.
Denny HR. Management of hip dysplasia. In: World Small Animal Veterinary Association World Congress Proceedings, 2004.
Kealy RD, Olsson SE, Monti KL, et al. Effects of limited food consumption on the incidence of hip dysplasia in growing dogs. J Am Vet Med Assoc. 1992;201(6):857-863.
Schachner ER, Lopez MJ. Diagnosis, prevention, and management of canine hip dysplasia: a review. Vet Med Res Rep. 2015;6:181-192.
Canine Hip Dysplasia. American College of Veterinary Surgeons.
Also see pet owner content regarding hip dysplasia in dogs and cats.
References
Smith GK, Biery DN, Gregor TP. New concepts of coxofemoral joint stability and the development of a clinical stress-radiographic method for quantitating hip joint laxity in the dog. J Am Vet Med Assoc. 1990;196(1):59-70. doi:10.2460/javma.1990.196.01.59



